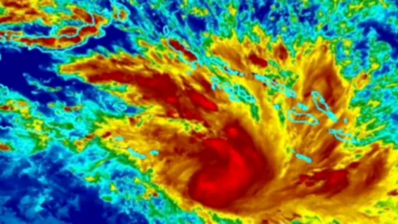
Cape York Community Bunkers Down as Cyclone Narelle Approaches
Residents in a remote Cape York community are bracing for the impact of Tropical Cyclone Narelle, with many expressing hope that their roofs will remain intact during the severe weather event. The isolated area, known for its limited access to supplies and services, is facing significant challenges as it prepares for the cyclone's arrival.
Limited Supplies and Remote Conditions
The community, located in a far-flung part of Cape York, has been working diligently to secure essential items ahead of the storm. With supply chains often disrupted by distance and weather, residents have reported difficulties in stocking up on food, water, and other necessities. Local authorities have advised people to bunker down and use whatever resources they have available, emphasizing the importance of safety during this critical time.
Emergency services are on high alert, but the remote nature of the region complicates response efforts. Many roads are prone to flooding, and communication networks can be unreliable, making it harder to coordinate aid and updates. Residents have been urged to stay indoors and avoid travel until the cyclone passes.
Community Resilience and Preparedness
Despite the challenges, the community has shown remarkable resilience. Neighbors are checking in on each other, sharing supplies, and offering support to those in need. Local leaders have been proactive in disseminating information about the cyclone's path and safety measures, using whatever means available to keep everyone informed.
"We're doing our best to prepare," said one resident, who wished to remain anonymous. "It's tough when you're so isolated, but we're sticking together and hoping for the best. Our main worry is the roof—if it holds, we'll be okay."
Weather forecasts indicate that Cyclone Narelle could bring heavy rainfall, strong winds, and potential flooding to the area. The Bureau of Meteorology has issued warnings for residents to take immediate precautions, including securing loose items and preparing emergency kits.
Looking Ahead
As the cyclone approaches, the focus remains on safety and survival. The community's limited supplies mean that every resource counts, and residents are being encouraged to conserve what they have. Once the storm passes, recovery efforts will likely be slow due to the region's isolation, but local and state agencies are prepared to assist as needed.
This event highlights the ongoing vulnerabilities faced by remote communities in Australia during natural disasters, underscoring the need for improved infrastructure and support systems in such areas.



